Hurricane Lane
-
Hawaii hurricane downgraded to tropical storm — heavy rains could still bring flash floodingA powerful hurricane that threatened Hawaii for a week rapidly disintegrated to become a tropical storm south of Honolulu.WeatherAug 25, 2018
-
Hurricane Lane brings torrential rains, severe flooding to Hawaii’s Big IslandThe hurricane churned closer toward the heart of the Hawaiian islands on Friday as it weakened into a Category 2 storm.EnvironmentAug 24, 2018
-
-
Advertisement
-
Ontario students pushed to Vancouver as Hurricane Lane scraps Hawaii vacation"We're all from little Ontario, we don't usually get tropical storms, so it was definitely a big difference there, a little scary."Aug 24, 2018
-
-
Advertisement
-
‘We are staying optimistic’: Regina native living in Hawaii bracing for Hurricane LaneConsidered to be the biggest weather threat to Hawaii in decades, Hurricane Lane has those living in Hawaii preparing for the worst, including Regina, Sask. native Heather Arias De Cordoba and her family.CanadaAug 23, 2018
-
Hurricane Lane forces cancellation of Vancouver-Hawaii flightsWestJet has cancelled multiple flights, while Air Canada says it's adjusting its schedule.Aug 23, 2018
-
-
Flash flood, landslide warnings issued as Hurricane Lane nears HawaiiThe Category 3 hurricane is expected to reach the Hawaiian islands Thursday.WeatherAug 23, 2018
-
-
Canadians warned to avoid Hawaii travel as Hurricane Lane approachesHurricane Lane, a Category 4 storm as of Wednesday afternoon, is headed for Hawaii.WorldAug 22, 2018
-
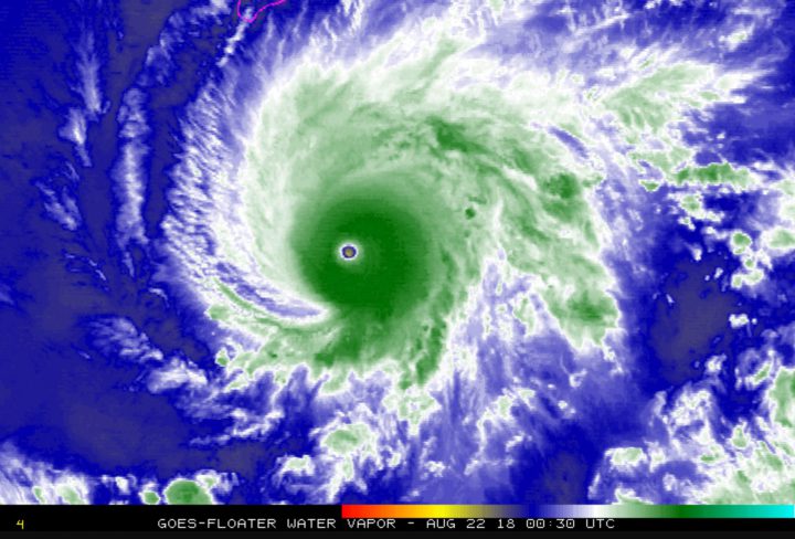
Hawaii braces itself for strengthening Hurricane LaneHurricane Lane was labeled a Category 5 hurricane Tuesday night, which means it can cause catastrophic damage, as it inches closer to the Hawaiian islands.EnvironmentAug 22, 2018
Trending
-
NATO chief says he understands Trump’s ‘disappointment’ with allies on Iran4,268 Read -
Alberta separatists claim looming Carney majority helps their cause2,590 Read -
IED in Sherwood Park car designed to kill many people, former Mountie says1,807 Read -
Historic Canada-U.S. library constructing new entrance for Canadians amid recent restrictions1,585 Read -
Deportation hearing for Indian extortion suspect halted when officials can’t find him1,556 Read -
Anthropic says new Claude Mythos AI is too risky for public use1,466 Read -
Top Videos
-
Global News at 6 Toronto: April 8, 2026 -
Toronto man found guilty of murdering husband in 2021 -
U.S. consulate in Toronto hit by gunfire, police declare national security incident -
Metrolinx sheds 400-plus consultants, some move to become VPs -
John Tory announces he won’t be running in Toronto’s mayoral race -
Metrolinx CEO on lessons learned and moving the region forward -