Advertisement

Precautionary boil water notice issued for Mabel Ridge Estates area in North Okanagan

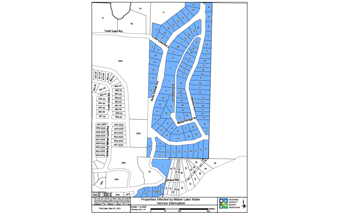
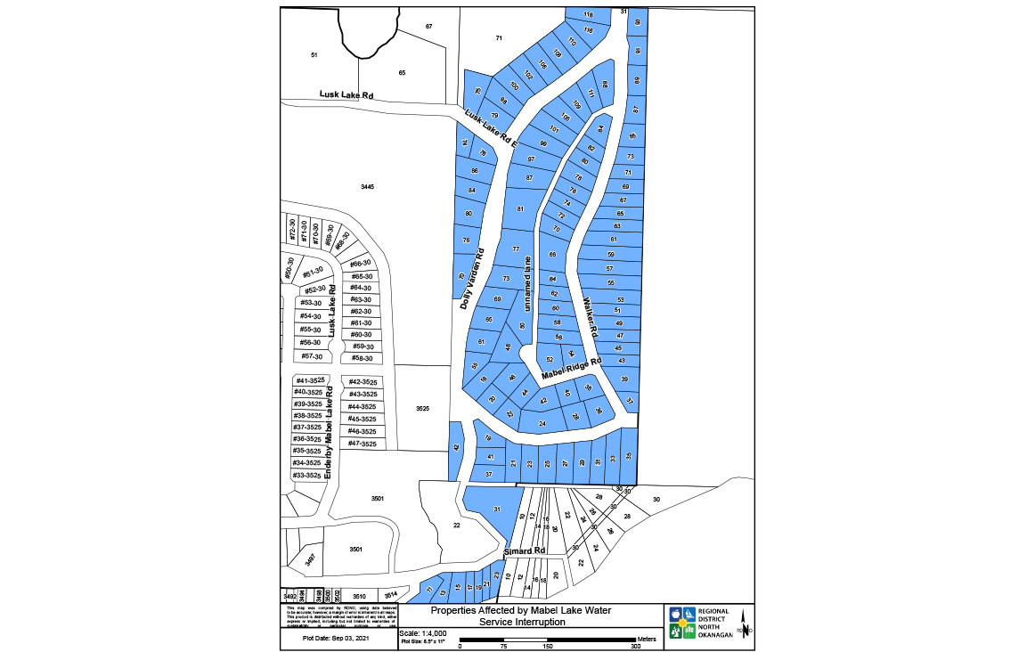
A map showing properties in the Mabel Ridge Estates area under a precautionary boil water notice. RDNO

A precautionary boil water notice has been issued for dozens of residents in the Mabel Lake area of the North Okanagan.

The regional district (RDNO) issued the notice on Saturday, citing a water main break along Lusk Lake Road East on Friday.

The break caused the water tank for the Mabel Ridge Estates area to empty. As a result, the water system experienced a loss of positive pressure.

Read more: Charges dismissed against ex-Michigan governor who oversaw Flint water crisis

“The water main break has been repaired and water service is being restored,” said the RDNO.

Receive the latest medical news and health information delivered to you every Sunday.

Get weekly health news

Receive the latest medical news and health information delivered to you every Sunday.
By providing your email address, you have read and agree to Global News' Terms and Conditions and Privacy Policy.

“When the water service has been restored to your property, please run a cold water tap, preferably an outside tap, at low volume until the water has cleared. You may experience some cloudiness and/or air in the water.”

Story continues below advertisement

The RDNO says until the boil water notice is rescinded, affected residents should boil their water for at least one minute before consuming or using it to brush their teeth, prepare food or making beverages or ice.

The regional district says updates will be available on its website.

Click to play video: 'Mount Washington faces severe water shortage'
Mount Washington faces severe water shortage

Sponsored content

AdChoices