Advertisement

More parking could be on the way for Terwillegar Park

A Google streetview image of the current parking lot in Terwillegar Park, located in southwest Edmonton. Google

The parking spaces at a southwest Edmonton park could double if city council approval is given.

A report on the Terwillegar Park parking lot expansion will be in front of city council on Tuesday. The Urban Planning Committee is recommending approval.

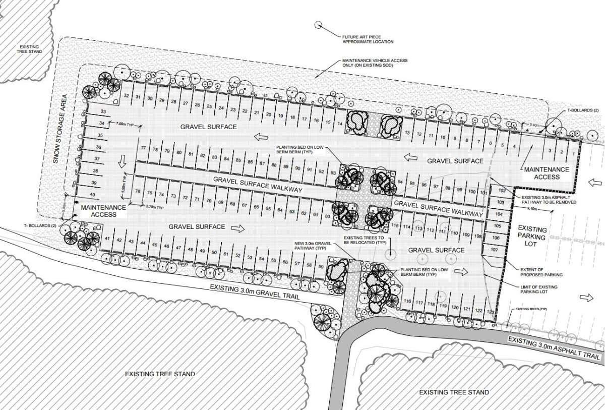
It seeks to expand the number of parking spaces from 122 stalls to 225 stalls.

READ MORE: City wants feedback on plan to expand Terwillegar Park parking lot

The parking lot was expanded in 2011 from 80 stalls to 122 stalls but that did not seem to meet demand. The report states that park users were illegally using Rabbit Hill Road for overflow parking.

“By 2015, this first phase of expansion was proving insufficient to meet user demand, and the city was receiving complaints that the parking lot was no longer adequate,” the report reads.

Story continues below advertisement
The Terwillegar Park parking lot extension concept.

The project will expand parking capacity west of the existing lot and falls within the Terwillegar Park Concept Plan study. The 27-point plan calls for several upgrades, including more paved parking and overflow parking, pedestrian bridges like the foot bridge currently being built, a program building and washroom, a designated on-leash area, a picnic area, a natural playground, a dock for canoe and kayak launches, and a 2.0 hectare paddling lake.

For news impacting Canada and around the world, sign up for breaking news alerts delivered directly to you when they happen.

Get breaking National news

For news impacting Canada and around the world, sign up for breaking news alerts delivered directly to you when they happen.
By providing your email address, you have read and agree to Global News' Terms and Conditions and Privacy Policy.

The report states the idea of the parking lot expansion generated some opposition from those who think the city should be encouraging park users bus, walk or bike to the park rather than drive. There was also concern about the park becoming busier as well as less of a natural space as a result of increased parking.

READ MORE: $90 million going towards improving Capital Region’s river valley

But one city councillor said the benefits outweigh those concerns.

Story continues below advertisement

“Generally there is significant support for increased parking. The park is so big that the loss of green space is insignificant,” said Ward 9 Councillor Bryan Anderson.

The total cost of the project is expected to be $488,000.

-with files from Karen Bartko

Sponsored content

AdChoices