Advertisement

More than 2,000 new homes could be constructed in Bedford West. Here’s what was announced

Click to play video: 'Global News Morning Halifax: November 28'
Global News Morning Halifax: November 28
The online edition of Global News Morning with Paul Brothers and Eilish Bonang on Global Halifax – Nov 28, 2023

Development approvals have been issued for designated special planning areas in Bedford West, enabling the development of up to 2,060 homes.

In a release, the Nova Scotia government said Municipal Affairs and Housing Minister John Lohr granted the approvals on the recommendation of Halifax Regional Municipality’s executive panel on housing.

One proposed development by Kearney Lake Development GP Ltd. would include 647 residential units in five multi-unit buildings, including some townhome-style units, in the Bedford West 10 sub-area.

A map of the Bedford West 10 sub-area. Halifax Regional Municipality

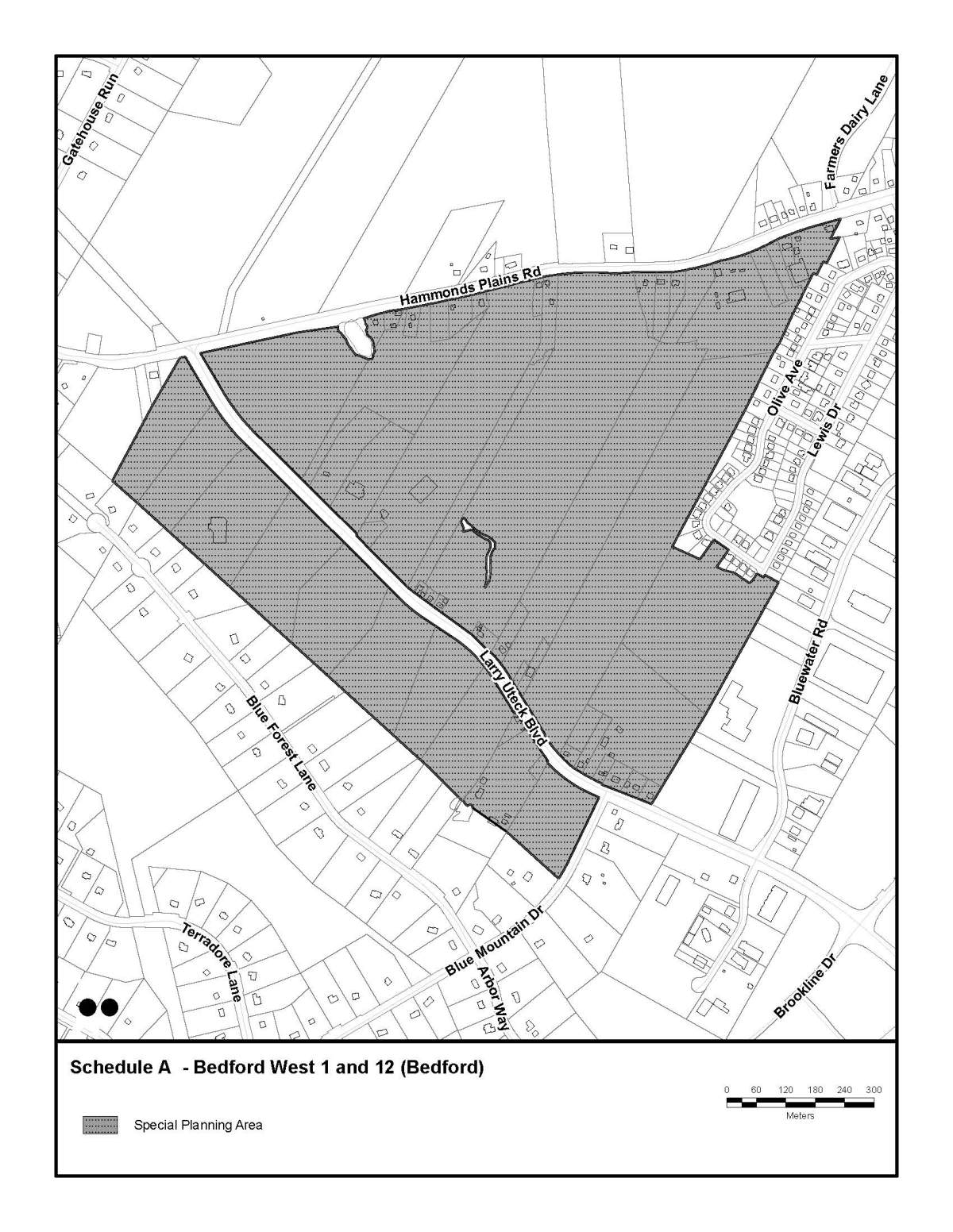
Two other developments have been proposed for the Bedford West 1 and 12 sub-areas.

Story continues below advertisement

One proposed development by MICCO WBHL Developments GP Limited would have up to 579 residential units in semi-attached or single-family units. They would include 470 apartments and 109 townhomes.

Get breaking Canada news delivered to your inbox as it happens so you won't miss a trending story.

Get breaking National news

Get breaking Canada news delivered to your inbox as it happens so you won't miss a trending story.
By providing your email address, you have read and agree to Global News' Terms and Conditions and Privacy Policy.

Another proposed development by West Bedford Holdings Ltd. includes about 834 residential units consisting of 749 apartments and 85 townhomes.

A map of the Bedford West 1 and 12 sub-areas. Halifax Regional Municipality

The release said Lohr has also approved bylaw and zoning amendments needed to support the development agreements.

It said all development agreements are consistent with HRM’s regional plan. Now that the approvals have been issued, the municipality’s planning office will now enter into development agreements with the proponents.

“These approvals will help increase access to housing and guide the development of vibrant, well-planned and walkable communities for residents to live in and enjoy,” said Vicky Elliott-Lopez, chair of HRM’s executive panel on housing, in the release.

Story continues below advertisement

“HRM planning has included requirements that would see the creation of a community plan and there are mechanisms in place to address issues such as traffic and road access.”

Like many areas of Nova Scotia, the Bedford area has experienced a lot of growth in recent years. Two local high schools switched to a dual model this year, in part to help address overcrowding issues.

Sponsored content

AdChoices