Advertisement

PHOTOS: On the scene in Florida as powerful Hurricane Michael makes landfall

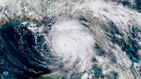
This Tuesday, Oct. 9, 2018, satellite image provided by NOAA shows Hurricane Michael, centre, in the Gulf of Mexico. NOAA via AP

Hurricane Michael has made landfall in Florida as a Category 4 hurricane with winds up to 249 km/h — the most powerful hurricane to hit mainland U.S. in nearly 50 years.

Evacuation orders were given to 500,000 people as the hurricane made landfall at Florida’s Panhandle, where 30 centimetres of rain and waves up to four-metres-high were expected.

WATCH: Coverage of Hurricane Michael in Florida

Story continues below advertisement

As opposed to Hurricane Florence that struck the Carolinas in a slow, halting manner, Michael grew stronger quickly as it drew near shore.

The Florida region is bracing for “major infrastructure damage,” specifically to electricity distribution, wastewater treatment systems and transportation networks, Jeff Byard, associate administrator for the Federal Emergency Management Agency (FEMA), told reporters on a conference call.

The storm already had a significant impact on offshore energy production. U.S. producers in the Gulf cut oil production by about 40 per cent and natural gas output by 28 per cent on Tuesday, the Bureau of Safety and Environmental Enforcement said.

READ MORE: Too late to evacuate: Florida residents told to seek shelter as Hurricane Michael looms

U.S. President Donald Trump has declared a state of emergency for the entire state of Florida, freeing up federal assistance to supplement state and local disaster responses.

After Florida, the storm is expected to hit Alabama, Georgia, the Carolinas — which is still reeling from flooding from Hurricane Florence — and then into Virginia.

The last major hurricane to hit the Panhandle was Hurricane Dennis in 2005.

See below for photos of Hurricane Michael’s damage in Florida.

Damage in Mexico Beach, Fla., caused by Hurricane Michael on Oct. 10, 2018. Twitter @GingerZee / Global News
A woman checks on her vehicle as Hurricane Michael passes through, after the hotel canopy had just collapsed, in Panama City Beach, Fla., Wednesday, Oct. 10, 2018. AP Photo/Gerald Herbert
Emily Hindle lies on the floor at an evacuation shelter set up at Rutherford High School, in advance of Hurricane Michael, which is expected to make landfall in Panama City Beach, Fla., Wednesday, Oct. 10, 2018. AP Photo/Gerald Herbert
A storm chaser climbs into his vehicle during the eye of Hurricane Michael to retrieve equipment after a hotel canopy collapsed in Panama City Beach, Fla., Wednesday, Oct. 10, 2018. AP Photo/Gerald Herbert
Palm trees are seen during Hurricane Michael in Panama City, Fla., on Oct. 10, 2018, in this picture obtained from social media. WeatherNation/via Reuters
An unidentified person takes pictures of the surf and fishing pier on Okaloosa Island in Fort Walton Beach, Fla., on Wednesday, Oct. 10, 2018, as Hurricane Michael approaches the Florida Gulf Coast. Devon Ravine/Northwest Florida Daily News via AP
Waves crash on stilt houses along the shore due to Hurricane Michael at Alligator Point in Franklin County, Fla., on Oct. 10, 2018. REUTERS/Steve Nesius.
This photo made available by NASA shows the eye of Hurricane Michael, as seen from the International Space Station on Wednesday, Oct. 10, 2018. (NASA via AP).
Jayden Morgan carries his dog through a flooded street in St. Marks, Fla., on Wednesday, Oct. 10, 2018, as his family evacuates at the last minute before Hurricane Michael hits the state. (AP Photo/Brendan Farrington).
A man walks out of a liquor store with a “Looters will be shot” sign before Hurricane Michael comes ashore in Carrabelle. REUTERS/Carlo Allegri
Justin Davis, left, and Brock Mclean board up a business in advance of Hurricane Michael in Destin, Fla., on Oct. 9, 2018. (REUTERS/Jonathan Bachman).
Jayden Morgan, 11, evacuates his home as water starts to flood his neighbourhood in St. Marks, Fla., ahead of Hurricane Michael. Gaining fury with every passing hour, Hurricane Michael closed in Wednesday on the Florida Panhandle with potentially catastrophic winds of 150 mph, the most powerful storm on record ever to menace the stretch of fishing towns, military bases and spring-break beaches. (AP Photo/Brendan Farrington).

Sponsored content

AdChoices