Advertisement

Appeals filed over controversial GraceLife Church expansion in Parkland County

Click to play video: 'Neighbours appealing controversial GraceLife Church expansion in Parkland County'
Neighbours appealing controversial GraceLife Church expansion in Parkland County
The decision to hear appeals over a controversial church expansion in Parkland County now rests with a board. As Erik Bay tells us, there’s concerns about how the growth of GraceLife Church would affect nearby residents – Jan 27, 2025

People living near a proposed church expansion just outside Edmonton are waiting for a public appeals board to decide whether or not their opposition to the project can move forward.

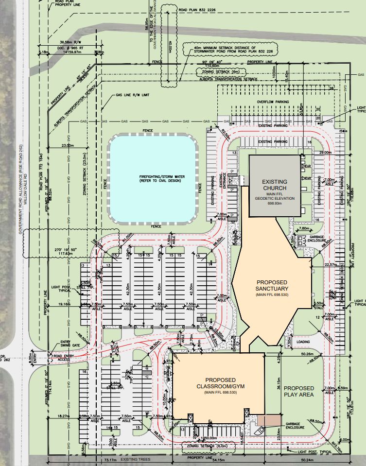
On Nov. 15, 2024, GraceLife Church of Edmonton was issued a development permit to add to their existing building, along Highway 627 and Range Road 262, beside the Edmonton Corn Maze in Parkland County.

GraceLife applied to the county last year to add 50,000 square feet to the existing facility: a new, 25,000-square-foot sanctuary and 25,000-square-foot education centre with 13 classrooms and a gymnasium.

Sunday church attendance is expected to rise from 800 to 900 congregants over two services to 1,200 to 1,500 people in one large gathering.

Enoch Cree Nation, which is directly across the highway from the church, and Parkland County residents living on acreages near GraceLife each submitted appeals against the permit to the Parkland County Subdivision and Development Appeal Board, but those arrived after the county’s deadline.

Story continues below advertisement

Neighbours say notices were delayed because of the Canada Post strike in November and December.

“We didn’t get the notice until late,” said Hiroki Currie, who spoke at the hearing on behalf of residents at Monday’s hearing. “Could that have been done differently? I argue yes.”

“Everybody that’s affected by this drives down right past GraceLife every day coming out of the subdivision. How hard is it to put a notice of development, approved development permit?”

Those submitting appeals said they have a number of concerns with the expansion, including increased traffic on the highway, water use and the fit in the rural area.

For news impacting Canada and around the world, sign up for breaking news alerts delivered directly to you when they happen.

Get breaking National news

For news impacting Canada and around the world, sign up for breaking news alerts delivered directly to you when they happen.
By providing your email address, you have read and agree to Global News' Terms and Conditions and Privacy Policy.

They also say the church hasn’t been a good neighbour.

“It’s not a good fit for our community. Our community doesn’t want it,” said Ayman Hassan, who lives near the church in the adjacent Sunset View Acres subdivision and opposes the expansion.

“It’s being thrust upon us and we’re unequivocal — we’re against it.”

Hassan said people in the area are still bitter over how the church and its supporters behaved during the pandemic.

“The trust is broken. We don’t trust that GraceLife has our concerns in mind.”

Story continues below advertisement

For several months in 2021 during the COVID-19 pandemic, the church located just west of Edmonton defied health orders and hosted hundreds of people for its weekly services.

The church did not adhere to rules on wearing masks or keeping distances and ignored a closure order, even as fencing was put up around the building on Highway 627 in Parkland County.

GraceLife Church pastor James Coates was also arrested.

The standoff between the church and public health officials was contentious, drawing an anti-restriction crowd to protest outside the facility.

“The supporters of GraceLife were leaving garbage all over the yards, urinating and defecating on the corner lots,” Hassan said.

“When members of our community went up to them to say ‘Hey, what are you doing?’ They were accosted.”

Story continues below advertisement

Enoch was also forced to block off entrances to the reserve, after demonstrators parked their vehicles without permission on Enoch Cree Nation land and resisted requests to leave.

RCMP ended up blocking off the surrounding neighbourhoods to contain the protests, which residents said led to lengthy detours in order to get to and from their homes, plus showing ID.

Hassan said area residents went to the church last year asking for an apology over how they were affected during that tense period of time, but never received one.

Story continues below advertisement

“They don’t feel they owe us anything. They are not part of our community,” Hassan said, explaining few of the congregants actually live in Parkland County — most drive out to the church from Edmonton.

Hassan likens the proposed expansion to a megachurch that would be more appropriate along a major highway like Anthony Henday Drive.

GraceLife members declined to speak with Global News after Monday’s hearing.

The public appeal board will now either provide written notice it finds the appeals were too late or it will hear the merits of those appeals on March 10.

Click to play video: 'Appeal board hears arguments over GraceLife Church expansion'
Appeal board hears arguments over GraceLife Church expansion

Sponsored content

AdChoices